|
朝になればおなかは減る。健康的だねえ。シャワーを浴びて、さっそく朝ごはんへ。今日もバイキングで、栄養補給は完璧だ。とはいいいながら、今日はちょっとゆっくりしたいので部屋に戻って少し休憩・・・そりゃ寝てしまうよね。贅沢な午前中を過ごしたところで、少しホテルを散策だ。
|
|

朝の栄養補給
|

ホテルの庭
|

ホテルのプール
|
|
ここ宮古島東急ホテルリゾートはそれなりに年季が入っているが、プールもゆったりしているし、前浜ビーチも気持ちいいし、随所に沖縄が感じられてなかなかいい感じ。ちょうとお昼時になったので、プールサイドのレストランで沖縄そばの焼きそばをゆっくりいただきましょう。朝起きた時は少し雲がかかっていたが、かなり晴れてきたようだ。そろそろ出かけますか。
|
|

屋根にシーサー
|

お昼ごはん
|

ホテルを散歩
|
|
車でホテルをでて、まずはホテルからも見える来間島へ。サトウキビ畑を抜けると橋に到着。青い海の中、真っ直ぐ伸びる道が爽快だ。島に入り、少し走ると竜宮城展望台に到着。沖縄風の建物の階段を上がると、そこからは宮古島を一面に見渡すことができる。ちょうど正面に見えるのが、さっきまでいた東急リゾート。左を見ると、昨日フェリーで渡った伊良部島。右を見ると、ついさっき渡ってきた来間大橋だ。穏やかな天気の中、エメラルドグリーンの海がとてもきれいで気持ちがいいな。島の内側を見てみると、学校らしき建物があった。生徒はどのくらいいるのかな。
|
|

来間島
|

竜宮城展望台
|

学校かな
|
|

伊良部島を一望
|

東急リゾートを一望
|

来間大橋を一望
|
|
さて、宮古島に戻ろう。来間大橋の途中で車を止めて写真を撮る。いやあ、それにしてもきれいだ。交通量の少なさもまたいい感じだね。再びサトウキビ畑を走る。風になびくと確かに「ざわわ」という音に聞こえるね。こんな中のドライブは気持ちがいいが、地元の人の運転がかなり遅い。わナンバーのレンタカーは普通に速く走っているが、地元らしき車は見通しがいいところでもかなり遅い。こういうところだと、運転ものんびりになるのかな。
|
|

来間大橋
|

いろんな島の方向
|

サトウキビ畑
|
|
しばらくして、東端の岬・東平安名岬に到着。ここは岬の左右に海が見え、そこに岩がごろごろとあり、なんとも不思議できれいな景色だ。車を降り、灯台まで歩いていく。この景色はパンフレットなどでも使われているよね。宮古島を代表する景色が見られてよかったな。灯台に到着し、ここは狭いが上まで登ることができる。360度見渡せるところから、岬や水平線を見ると絶景だ。いいねえ。灯台から降り、ぶらぶらと駐車場まで戻る。近くにあった屋台で沖縄風ぜんざいをいただきましょう。練乳と餡子のかき氷で、さっぱりしていてほっと一息だ。
|
|

東平安名岬
|

平安名埼灯台
|

岩がたくさん
|
|

灯台から
|

海はやっぱりきれい
|

沖縄のぜんざい
|
|
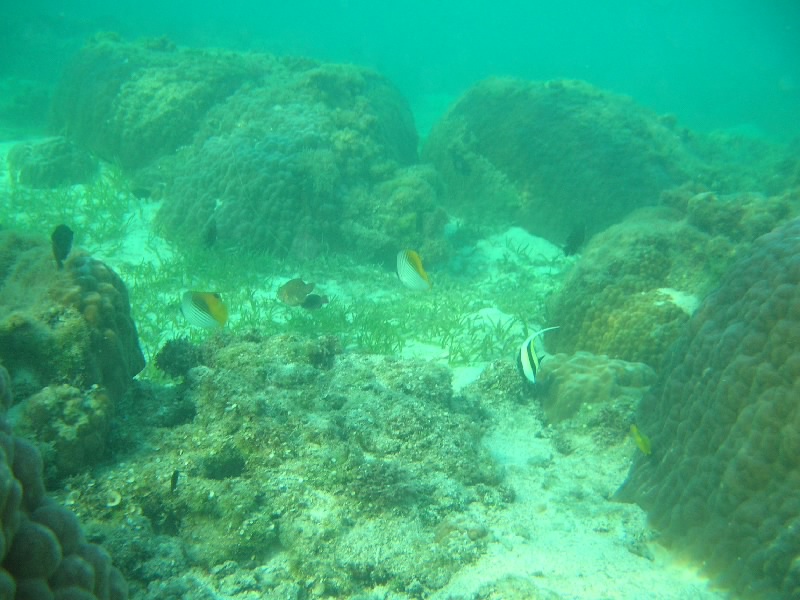
少し夕方になってきたかな。でもまだ肝心の、海に行っていない。ここから近いところにあるのが新城海岸、宮古島ではかなり有名なビーチの一つだ。到着すると、何台か車が止まっているがそれほど人は多くないようだ。さあ、早速泳ぎましょう。シュノーケリングの準備をして、水中カメラをもって波打ち際に。海に入ると、すぐにいろんな種類の熱帯魚がいるのが見えた。いいぞ。でも写真をとるには、ちょっと透明度が今ひとつかなあ。あと少し日が傾いているので、もう少し明るいともっときれいに撮れたかな。でも海を楽しむにはこのくらいでも十分、何度も潜りながら、いろんな魚を探す。少し離れたところにエイもいたが、写真はうまく撮れなかった・・・
|
|

水中写真1
|

水中写真2
|

水中写真3
|
|
海から上がると、少しいた人も帰り支度を始めているようだ。もう少し海と戯れ、われわれも撤収しましょうか。車に戻り、岬の売店で買ったサーターアンダーギで栄養補給。少し疲れた体と塩辛い海水のあとでこの甘さはいいね。さて、いろいろ満喫したところで、ホテルに戻りましょう。
|
|

新城海岸
|

サーターアンダーギ
|

海岸入口
|
|
ホテルに戻り、とにかくまずはシャワーを浴びてさっぱりだ。そろそろ晩ごはん、今日はどうしようかな。ちょっと疲れたし、今日はホテルでいただきましょうか。というわけで、ホテルの中にある「やえびし」へと向かう。まずはオリオンビールで乾杯。今日一日の疲れが流されていくね。さて、このあとは「やえびし御膳」。沖縄づくしという感じでないが、もずくやジーマミ豆腐、角煮などもあるし、かき揚げにはゴーヤも入っているしでなかなかの美味。メインは伊勢海老の雲丹焼き、たまにはのんびりこういうゴハンもいいですね。ビールをおかわりしてお腹いっぱいです。
|
|

ビールがうまい
|

前菜とお造り
|

伊勢海老がメイン
|
|
でもまだ最終日の夜はこれから。プールサイドやビーチをしばし散策。少し涼しい空気が気持ちいい。でもそういえば台風が近づいてきているので、ちょっと風は強めかもね。明日まではなんとか天気も持ちそうでよかったな。散策のあとは、プールサイドにあるバーでカクテルタイム。一杯サービスのチケットもまだ使ってなかったしね。沖縄らしくフルーツ入りのカクテルを楽しみましょう。
|
|

夜のホテル
|

カクテルをいただく
|

おかわり
|
|
いつの間にやら飲み干していました。せっかくなのでもう一杯いただきましょう。アイスクリームはシンプルなバニラが嬉しい。ゆっくりと、宮古島最後の夜が更けてゆく・・・
|